Lebensqualität für die Familie in ländlicher Ruhe! (Grundstücke Leutkirch im Allgäu)
Land:
DEU
PLZ:
88299
Ort:
Leutkirch im Allgäu
Kaufpreis:
170.000,00 €
Vermittl.-Provision:
3,57% vom Kaufpreis inkl. MwSt.
Grundstücksfläche:
1.069,00 m²
Ihre Objektnr.:
KB0049
Um Ihnen schnellstmöglich Informationen bereitstellen zu können, erfolgt der Exposéversand automatisiert. Bitte beachten Sie, dass wir daher individuelle Fragen in Ihrer Anfrage nicht berücksichtigen können. Wir beantworten diese aber gerne im Nachgang bei einem Telefonat oder einem persönlichen Termin.
---------------------------------------------------------------------------------------------------------------------------------------
Willkommen in Ihrem neuen Wohnort!
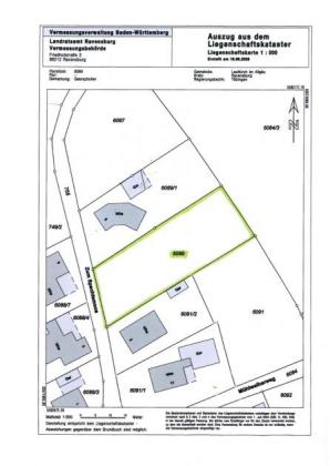
Ein großzügiges Baugrundstück in toller unverbaubarer Ortsrandlage im idyllischen Gebrazhofen-Wolferazhofen, einem Teilort der Stadt Leutkirch, erfüllt Ihre individuellen Wohnträume.
Das Baurecht lässt 2 Vollgeschosse plus Dachgeschoss zu.
Zu beachten ist darüber hinaus, die "Klarstellungs- und Ergänzungssatzung Wolferazhofen", siehe hierzu auch den veröffentlichten Lageplan.
Inhalt dieser Satzung: Zulässig sind nur Wohngebäude, Abstand des Gebäudes zur öffentlichen Verkehrsfläche/Straße und Pflanzgebotsstreifen.
Diese Satzung definiert auch den sogenannten bebaubaren Grundstücksanteil "Innenbereich" und den nicht überbaubaren Grundstücksanteil "Außenbereich"!
Das Grundstück ist teilerschlossen das heißt, die Straßenerschließung ist abgrechnet und bezahlt. Abgerechnet und bezahlt sind ebenfalls der Wasserversorgungs- , Abwasserbeitrag. Die Versorgungsleitungen Strom, Wasser und Abwasser sind von der Straße aus, durch den zukünftigen Eigentümer im Rahmen der Bebauung, noch auf das Grundstück zu legen.
Eine Baulast sowie ein "Bauzwang" bestehen nicht!
Gestalten und verwirklichen Sie Ihren individuellen Wohntraum!
Eingebettet in die wunderschöne Landschaft des Allgäus ist dies der ideale Ort, an dem Ihre Familie in ländlicher Ruhe, ihr Leben genießen kann.
Gerne sind wir für weitere Abstimmungen für Sie da!
Leutkirch im Allgäu mit ca. 24.000 Einwohnern liegt in traumhafter Voralpenlandschaft im Westallgäu (Baden-Würrtemberg) in verkehrsgünstiger Lage direkt an der Autobahn (A 96) zwischen Memmingen und Lindau.
Die Stadt verfügt über eine starke Wirtschaft mit einem gesunden Branchenmix, eine hervorragende Infrastruktur sowie ein breit gefächertes Angebot des täglichen Bedarfs. Ein umfassendes Schulangebot und flexible Kinderbetreuungseinrichtungen am Ort sichern ein hohes Niveau an Ausbildung und eine Rundum-Versorgung nach dem Motto „Wohnen und Arbeiten in Leutkirch".
Die Liegenschaft befindet sich im Teilort Gebrazhofen-Wolferazhofen der Stadt Leutkirch im Allgäu (Postleitzahl 88299). Diese ruhige und idyllische Ortschaft bietet durch die Nähe zum Teilort Gebrazhofen, im Kontext eine gute Infrastruktur, die den Bewohnern ein hohes Maß an Lebensqualität ermöglicht.
In Gebrazhofen finden Sie eine gute Anbindung an den öffentlichen Personennahverkehr (ÖPNV), sodass Sie bequem auch ohne Auto, in die umliegenden Städte Leutkirch, Kisslegg und Wangen und weitere Gemeinden gelangen können.
Das Bildungswesen in der Umgebung ist ebenfalls gut aufgestellt. In Gebrazhofen befinden sich ein Kindergarten sowie eine Grundschule, die eine optimale Betreuung und Förderung für die Kleinsten gewährleisten. Weiterführende Schulen wie Realschule, Gymnasien, Berufsschulzentren, sind in den Städten Leutkirch, Kisslegg und Wangen, vorhanden. Für ältere Menschen gibt es zudem eine Senioreneinrichtung in der Ortschaft.
Die nahe gelegenen Städte Leutkirch, Wangen und Memmingen und die herrliche Bodenseeregion bieten zusätzlich eine Vielzahl an Einkaufs- und Erlebnismöglichkeiten. Auch Großstädte wie München (ca. 1,5 h Autofahrt) und Stuttgart (ca. 2h Autofahrt) sind dank der guten Autobahnanbindung, zügig zu erreichen. Die nächsten Flughäfen befinden sich in Memmingen (ca. 25 Km ) und Friedrichshafen (ca. 50 km).
Bitte beachten Sie, dass der ausgeschriebene Kaufpreis freibleibend ist. Bei entsprechend großer Nachfrage behält sich der Verkäufer vor, das Objekt gegen Höchstgebot zu verkaufen (es handelt sich jedoch um kein Bieterverfahren!).
Für die Richtigkeit der Angaben übernehmen wir keine Haftung, haben diese jedoch plausibilisiert.
Die Überschrift zu diesem Immobilien-Objekt ist Lebensqualität für die Familie in ländlicher Ruhe!. Der Kreis, dem dieses Objekt zugeordnet ist lautet Landkreis Ravensburg. Dieses Exposé ist der Kategorie Leutkirch im Allgäu zugeordnet. Baden-Württemberg lautet die geografische Oberkategorie zu dem vorliegenden Angebot.
Der Anbieter Oesterle Immobilien GmbH Ansprechpartner Kai Oesterle, Wilhelmstraße 1 in 88299 Leutkirch hat dieses Objekt inseriert.
Besucher kamen auf die Seite Grundstücke in Leutkirch im Allgäu durch folge Begriffe:
Synonyme zur Suche Leutkirch im Allgäu Grundstücke:
Leutkirch im Allgäu Grundstücke online, Grundstück Leutkirch im Allgäu, Grundstücksmarkt Leutkirch im Allgäu
|
Oesterle Immobilien GmbH |
|
Kai Oesterle |
|
Wilhelmstraße 1 |
|
88299 Leutkirch |
|
Telefon: |
07561 / 820 91 - 50 |
|
Telefax: |
07561 / 988 73 - 20 |
|
|
|
|
Maklerwebsite: |
|
|
|
|
Verbraucherinformation:
Online-Streitbeilegung gemäß Art. 14 Abs. 1 ODR-VO: Die Europäische Kommission stellt eine Plattform zur Online-Streitbeilegung (OS) bereit, die Sie hier finden: http://ec.europa.eu/consumers/odr


