Kleines Baugrundstück in zweiter Reihe mit Bauvorbescheid (Grundstücke Berlin)
Land:
DEU
PLZ:
12559
Ort:
Berlin
Kaufpreis:
130.000,00 €
Vermittl.-Provision:
7,14% inkl. MwSt
Grundstücksfläche:
350,00 m²
Ihre Objektnr.:
ID5069
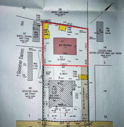
Zum Verkauf steht ein kleines Baugrundstück in zweiter Reihe.
Es liegt ein Bauvorbescheid für ein Einfamilienhaus mit folgender Planung: Rechteckiger Baukörper mit 2 Etagen (je ca. 70 m²) und Satteldach.
Dieses Grundstück befindet sich in ruhiger, familienfreundlicher Wohnlage im idyllischen Ortsteil Berlin-Müggelheim - eingebettet in grüne Wälder, Seenlandschaft und eine gewachsene Nachbarschaft. Die Straße ist eine gepflegte Anliegerstraße mit Tempo-30-Zone - ideal für entspanntes Wohnen in naturnaher Umgebung.
Gute Anbindung an den öffentlichen Nahverkehr: Die Buslinien 169, 369 und N69 sind fußläufig erreichbar (Haltestellen Alt-Müggelheim oder Annweiler Weg).
Anschluss an das S-Bahnnetz (S3) über Wilhelmshagen oder Köpenick.
Fährverbindungen (F23, F24) über die nahegelegenen Gewässer ermöglichen alternative Verbindungen in die umliegenden Ortsteile.
Für Autofahrer: Schnelle Erreichbarkeit der B1/B5 sowie des Flughafens BER in ca. 20-25 Minuten.
Auf dem vorderen Grundstück (1.Reihe) steht ein kleines MFH.
Der Kreis, dem dieses Objekt zugeordnet ist lautet Landkreis Berlin. Dieses Exposé ist der Kategorie Berlin zugeordnet. Die Überschrift zu diesem Immobilien-Objekt ist Kleines Baugrundstück in zweiter Reihe mit Bauvorbescheid. Der Anbieter IBA Real Estate Ansprechpartner Valerij Gerber, Maarer Straße 76 in 13435 Berlin hat dieses Objekt inseriert.
Berlin lautet die geografische Oberkategorie zu dem vorliegenden Angebot.
Besucher kamen auf die Seite Grundstücke in Berlin durch folge Begriffe:
Synonyme zur Suche Berlin Grundstücke:
Berlin Grundstücke online, Grundstück Berlin, Grundstücksmarkt Berlin
|
IBA Real Estate |
|
Valerij Gerber |
|
Maarer Straße 76 |
|
13435 Berlin |
|
Telefon: |
+493099545549 |
|
Mobil: |
+491785830565 |
|
|
|
|
Maklerwebsite: |
|
|
|
|
|
Steuernummer: |
2927001650 |
|
USt.-ID: |
DE 276/341/310 |
|
Handelsregister-Nr: |
133798 B |
Verbraucherinformation:
Angaben gemäß §5 TMG. Aufsichtsbehörde: Berufsaufsichtsbehörde Gewerbeerlaubnis gem. § 34c GewO erteilt vom Bezirksamt Reinickendorf von Berlin Verbraucherinformationen: Online-Streitbeilegung gemäß Art. 14 Abs. 1 ODR-VO: Die Europäische Kommission stellt eine Plattform zur Online-Streitbeilegung (OS) bereit, die Sie hier finden: https://ec.europa.eu/consumers/odr/


