Freizeitgrundstück / Gartengrundstück in sonniger Lage in Rohracker / Hedelfingen zu verkaufen. (Grundstücke Stuttgart)
Land:
DEU
PLZ:
70329
Ort:
Stuttgart
Kaufpreis:
15.000,00 €
Vermittl.-Provision:
2.380,00 € inkl. MWST
Grundstücksfläche:
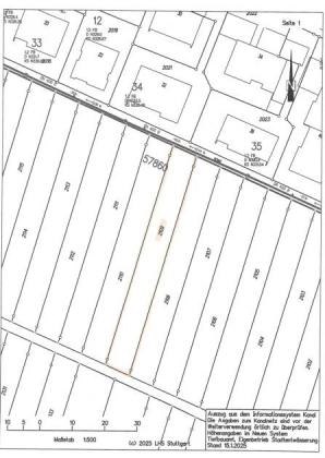
560,00 m²
Ihre Objektnr.:
KB0046_STG
Um Ihnen schnellstmöglich Informationen bereitstellen zu können, erfolgt der Exposéversand automatisiert. Bitte beachten Sie, dass wir daher individuelle Fragen in Ihrer Anfragen nicht berücksichtigen können. Wir beantworten diese aber gerne im Nachgang bei einem Telefonat oder einem persönlichen Termin.
------------------------------------------------------------------------------------------------------------------------------------------
Zum Verkauf kommt ein Gartengrundstück. Das Grundstück befindet sich im Gartenhausgebiet zwischen Hedelfingen (Rohracker) und Sillenbuch. Es befindet sich in leichter Hanglage.
Das Grundstück ist von beiden Seiten aus mit dem Auto anzufahren.
Es ist kein Strom - und Wasseranschluss vorhanden.
Sie können sich das Grundstück gern von außen (ohne Betreten des Grundstückes) ohne uns anschauen. Wenn Sie weitere Fragen zu dem Grundstück haben, dann beantworten wir Ihnen gern Ihre Fragen.
Hinweis:
Vom Eigentümer wird noch ein weiteres Gartengrundstück ganz in der Nähe verkauft. Dieses finden Sie ebenfalls auf Immoscout.
Der Kreis, dem dieses Objekt zugeordnet ist lautet Landkreis Stuttgart. Auf der Seite Stuttgart sind einige weitere Immobilienanzeigen zu finden. Die Überschrift zu diesem Immobilien-Objekt ist Freizeitgrundstück / Gartengrundstück in sonniger Lage in Rohracker / Hedelfingen zu verkaufen.. Der Anbieter Oesterle Immobilien GmbH Ansprechpartner Kai Oesterle, Wilhelmstraße 1 in 88299 Leutkirch hat dieses Objekt inseriert.
Zuordnung zum Kategorie-Baum: Baden-Württemberg.
Besucher kamen auf die Seite Grundstücke in Stuttgart durch folge Begriffe:
Synonyme zur Suche Stuttgart Grundstücke:
Stuttgart Grundstücke online, Grundstück Stuttgart, Grundstücksmarkt Stuttgart
|
Oesterle Immobilien GmbH |
|
Kai Oesterle |
|
Wilhelmstraße 1 |
|
88299 Leutkirch |
|
Telefon: |
07561 / 820 91 - 50 |
|
Telefax: |
07561 / 988 73 - 20 |
|
|
|
|
Maklerwebsite: |
|
|
|
|
Verbraucherinformation:
Online-Streitbeilegung gemäß Art. 14 Abs. 1 ODR-VO: Die Europäische Kommission stellt eine Plattform zur Online-Streitbeilegung (OS) bereit, die Sie hier finden: http://ec.europa.eu/consumers/odr


